Cartwright Air Station: Difference between revisions
John Stanton (talk | contribs) No edit summary |
John Stanton (talk | contribs) No edit summary |
||
| Line 60: | Line 60: | ||
{{CartwrightASGFS}} | {{CartwrightASGFS}} | ||
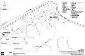
== Physical Plant == | |||
[[File:Cartwright AS Site Plan.jpeg|thumb|center|Cartwright Air Station Site Plan.]] | |||
<!-- | |||
The physical plant of the site was divided into the main site, a cantonment area, a housing area and a radio site. The main site housed the operations buildings, the radar towers, and the backup generators. The cantonment area housed the enlisted barracks, the bachelor officer's quarters, the orderly room, the dining hall, the motor pool and other support buildings. Apart from the main site was a small 9/27 unit housing area for married personnel. | The physical plant of the site was divided into the main site, a cantonment area, a housing area and a radio site. The main site housed the operations buildings, the radar towers, and the backup generators. The cantonment area housed the enlisted barracks, the bachelor officer's quarters, the orderly room, the dining hall, the motor pool and other support buildings. Apart from the main site was a small 9/27 unit housing area for married personnel. | ||
Revision as of 18:33, 5 June 2021
|
Cartwright Air Station (1953-1968) - A Cold War U.S. Air Force Radar Station established during the Korean War. Located near Cartwright, Labrador. Assigned a Permanent ID of N-27. Closed in 1968. HistoryEstablished and constructed in 1951-1953 by contractors. Became operational in 1953 as Cartwright Air Station manned by the 922nd Aircraft Control & Warning (AC&W) Squadron (USAF). This site functioned for most of its life as a ground controlled intercept (GCI) site that identified aircraft entering their coverage and was prepared to guide armed interceptor aircraft to those it could not identify. Initial equipment included the FPS-3 search radar and a TPS-502 height-finder radars. By 1968 the radars had been updated to a FPS-93A search radar and two height finders, an FPS-6B and an FPS-90. The 922nd also operated three gap filler radar sites as manned detachments complete with operations personnel and a commanding officer between 1957 and 1961. ClosureCartwright Air Station and the 922 AC&W Squadron were deactivated on 18 June 1968. Gap FillersCartwright Air Station was responsible for the operation and maintenance of three manned remote gap filler radar sites. These gap filler sites were placed in locations where the main search radar lacked coverage and they were manned by USAF maintenance and operations crews headed by a commanding officer and operated as a detachment of the 922 AC&W Squadron.
The Cartwright Air Station gap filler radars were located at Cut Throat, Spotted Island and Fox Harbor, all in Labrador.
Physical Plant
Current Status
See Also: Sources:
Links:
Visited: No
| ||||||||||||||||||||||||||||||||||||||||||||||||||||||||||||||||||||||||||||||||||||||||||||||||

