Cartwright Air Station
|
Cartwright Air Station (1953-1968) - A Cold War U.S. Air Force Radar Station established during the Korean War as a Pinetree Line radar site. Located at Sandwich Bay near Cartwright, Labrador. Assigned a Permanent ID of N-27. Closed in 1968. HistoryEstablished and constructed in 1951-1953 by the contractor, Fraser Brace Construction Company Moncton, New Brunswick. The site became operational in 1953 as Cartwright Air Station manned by the 922nd Aircraft Control & Warning (AC&W) Squadron (USAF). The advanced party of USAF personnel arrived in June 1953. This site functioned for most of its life as a ground-controlled intercept (GCI) site that identified aircraft entering their coverage and was prepared to guide armed interceptor aircraft to those it could not identify. By 1967 the stated mission of the 922nd AC&W Squadron was to conduct Air Defense Operations, within an assigned area of responsibility, to support the Melville NORAD Control Center, and function as a Direction Center in the Air Defense System. Initial equipment included the FPS-3 search radar and a TPS-502 height-finder radars. By 1968 the radars had been updated to a FPS-93A search radar and two height finders, a FPS-6B and a FPS-90. The 922nd also operated three gap-filler radar sites as manned detachments complete with operations personnel and a commanding officer between 1957 and 1961. ClosureCartwright Air Station and the 922 AC&W Squadron were deactivated on 18 June 1968 and the radar site was turned over to the RCAF who closed it a short time later. Polevault TroposcatterThe Polevault Troposcatter communications link at Cartwright was a heavy ground communications system that depended on bouncing radio waves off the troposphere for reliable long-distance communications circuits. Normal HF/LF and other radio links had proven unreliable and the Polevault system was implemented about 1954 to solve that problem. The Cartwright Polevault site provided tropo links with Goose AFB to the West and St. Anthony, Newfoundland to the South. From St. Anthony, the system fed down to Gander and then to Red Cliff at St. John's. St. John's had cable communications with the US and it served as the southern terminus of the Polevault system. The Cartwright Polevault site also provided communications to the three gap-filler radar sites between 1957 and 1961. A teletype channel provided hard copy communications with Headquarters in Newfoundland and beyond. By 1961, Detachment 8 of the 1933rd Communications Squadron, a support organization of the 922nd AC&W Squadron, operated and maintained the Cartwright Polevault site.
Gap FillersCartwright Air Station was responsible for the operation and maintenance of three manned remote gap-filler radar sites. These gap-filler sites were placed in locations where the main search radar lacked coverage and they were manned by USAF maintenance and operations crews headed by a commanding officer and operated as a detachment of the 922 AC&W Squadron.
The Cartwright Air Station gap-filler radars were located at Cut Throat, Spotted Island, and Fox Harbor, all in Labrador.
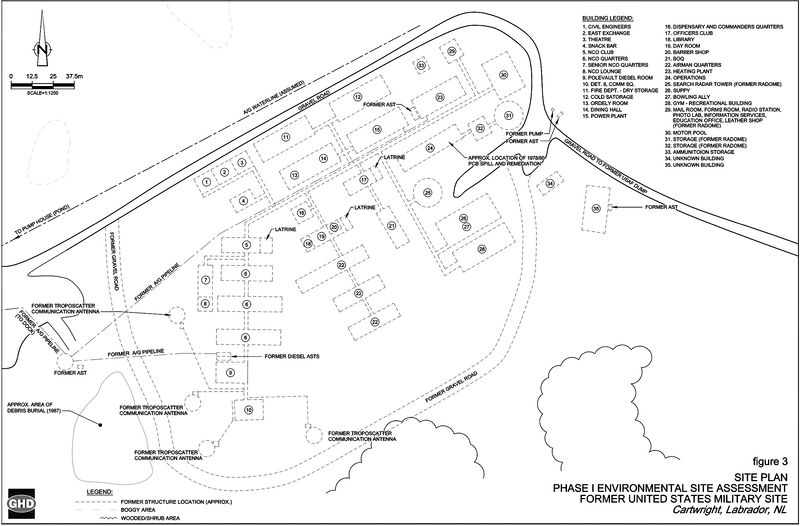
Physical PlantThe weather at Cartwright was very cold in the winter months with lots of snow. The summers were warm with a fair amount of rain. Annual resupply of bulk stores, equipment, and personnel came by sea, generally during the summer months and by air year-round. The site consisted of a central core of utility buildings that included the motor pool, heating plant, power plant, cold storage, dry storage/fire department, orderly room/dining hall, snack bar, and a combined building for the site engineers, a PX and a theater. Linking all these buildings was a long covered and insulated walkway. From this main walkway, some shorter walkways angled off. At the northeast end was the radar equipment, the operations building, supply, a gym, and a bowling alley. The next branch was officers country housing the officers club and the BOQ. The next branch housed the airmen quarters and their day room as well as the barbershop, dispensary, and commanders quarters. The last branch housed the NCO club and NCO quarters. At the end of this branch was the Polevault troposcatter communications equipment and the 1933rd Communications Squadron, Detachment 8, that maintained the troposcatter equipment.
Current StatusFoundational remains, no buildings remain. Coverage assumed by Cartwright Long-Range Radar Site, an FPS-117 Long Range Radar site.
See Also: Sources:
Links:
Visited: No
| ||||||||||||||||||||||||||||||||||||||||||||||||||||||||||||||||||||||||||||||||||||||||||||||||
- Not Visited
- All
- Newfoundland and Labrador All
- Newfoundland and Labrador Radar Sites
- Cartwright Air Station
- Newfoundland and Labrador Not Visited
- Starter Page
- USAF Radar Sites
- Canadian Radar Sites
- Pinetree Line Radar Sites
- FPS-93
- FPS-20
- FPS-6
- FPS-90
- FPS-14
- FST-1
- UPA-35
- UPX-6
- UPX 14
- GPX-7
- OA-175
- OA-947
- OA-929
- GPA-30
- GRT-3
- R-361
- GRC-27
- FRT-502
- FRT-503
- URG-60
- NE-612
- SSM-7
- TT-21
- TT-7
- M-19
- GTA-6
- KW-7


